Cell|樊嘉院士领衔团队首次揭示癌症细胞利用跨器官的神经免疫回路逃避免疫监视的调控机制-技术前沿-资讯-生物在线

Cell|樊嘉院士领衔团队首次揭示癌症细胞利用跨器官的神经免疫回路逃避免疫监视的调控机制

作者:上海华盈生物医药科技有限公司 2025-11-28T00:00 (访问量:29)

癌症被认为是一种系统性疾病,其发生和发展涉及局部和全身免疫反应的复杂调控。尽管免疫检查点阻断(ICB)疗法在临床实践中取得了显著成效,但癌细胞仍能通过多种机制逃避免疫监视,包括细胞内、细胞间以及器官间的事件。近年来,癌症神经科学领域的研究发现,神经系统与免疫系统之间的交互在癌症病理生理中扮演重要角色,尤其是伤害感受神经元(nociceptive neurons)在调节肿瘤免疫微环境中的作用逐渐被认识。然而,癌细胞是否以及如何通过激活伤害感受神经元远程调控远处器官(如肿瘤引流淋巴结,TDLNs)的免疫状态,从而逃避免疫监视,尚不清楚。

近日,复旦大学附属中山医院樊嘉院士、季彤教授、周俭教授、孙云帆教授及上海交通大学医学院附属第九人民医院张陈平教授合作在《Cell》上发表了题为“Cancer cells co-opt an inter-organ neuroimmune circuit to escape immune surveillance”的研究论文。该研究对临床样本开展了多种组学的分析,包括Phencycler-Fusion(PCF)空间单细胞蛋白组(CODEX)、转录组、单细胞转录组测序、空间转录组,以及血浆蛋白组和质谱流式(CyTOF)等技术,并且通过动物模型实验深入揭示了癌细胞通过激活伤害感受神经元介导的肿瘤-TDLN交互回路,远程重塑TDLNs的免疫状态,从而促进肿瘤生长并降低ICB疗效的作用机制。(华盈生物为该研究提供了PCF空间单细胞蛋白组检测服务)。

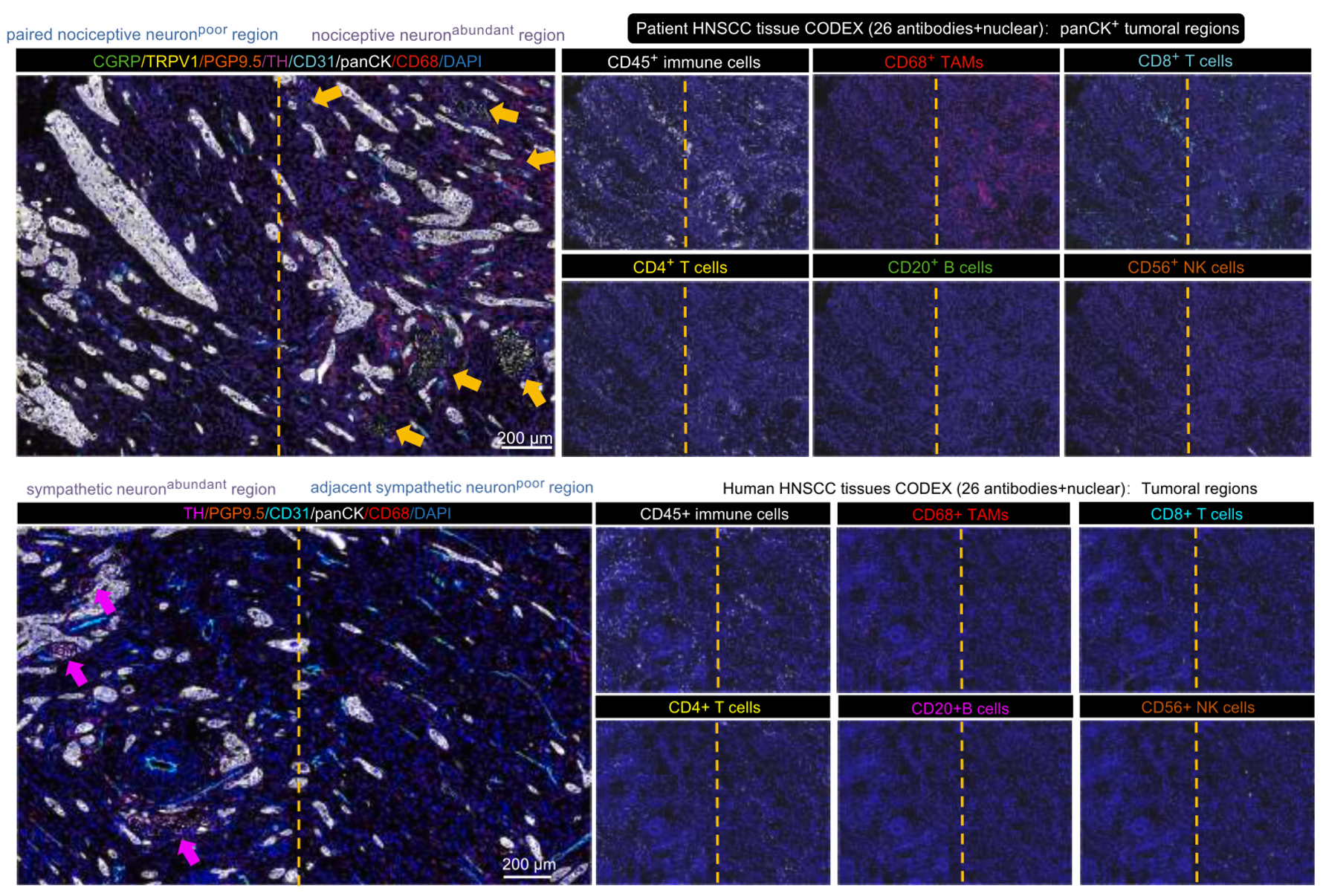
临床队列研究首先分析一个包含69对头颈鳞状细胞癌(HNSCC)患者的肿瘤组织和癌旁正常组织的回顾性队列,用于免疫浸润分析和PCF空间单细胞蛋白组(CODEX)分析。另外一个前瞻性队列,包含了80例HNSCC患者,其中51例可分层为“伤害感受神经元高密度-高疼痛”和“伤害感受神经元低密度-低疼痛”两组,用于血浆蛋白质组和PBMC的CyTOF分析,皆在分析系统性免疫。

研究将患者分为了伤害感受神经元高密度和低密度的两组,转录组分析发现了伤害感受神经元高密度患者中髓系细胞激活、趋化和吞噬通路被富集。为了验证揭示神经元与免疫细胞的互作关系,研究利用了PCF空间单细胞蛋白组(CODEX)分析检测了26种抗体,揭示了伤害感受神经元和肿瘤相关巨噬细胞的紧密关系。

PCF空间单细胞蛋白组(CODEX)揭示了M1和M2肿瘤巨噬细胞(TAM)显著富集在伤害感受神经元密度高的区域。但是M1和M2巨噬细胞并没有显著富集在交感神经元富集的区域,以及癌旁组织的伤害感受神经元富集的区域。同时其他免疫细胞的分布与伤害感受神经元密度并没有相关性。这些结果说明了肿瘤组织中TAM和伤害感受神经元的紧密关联性。

研究者通过血浆蛋白组和CyTOF还进一步揭示了伤害感受神经元和系统性免疫的关系,发现了伤害感受神经元密度高的患者外周富集神经发育和天然免疫反应通路,减少CD8+ T细胞,增加单核细胞等。

最后研究深入揭示了TAM调控伤害感受神经元的机制。利用体外和体内模型验证了TAM通过诱导癌细胞ER应激激活ATF4,促进SLIT2分泌,进而激活伤害感受神经元并加剧癌痛。舌部伤害感受神经元激活可远程激活TDLN中的伤害感受神经元,通过释放CGRP重塑TDLN为免疫抑制状态,机制上SLIT2-CGRP轴降低TDLN中CCL5分泌,促进肿瘤内M2型TAM极化,阻断该轴可缓解癌痛并改善ICB反应。

该研究通过多种组学技术(转录组、蛋白质组、CyTOF)和空间单细胞蛋白组及空间转录组从临床到动物模型进行了层层验证,系统揭示了癌细胞通过ATF4-SLIT2-CGRP轴激活伤害性神经元,远程重塑TDLN免疫状态,从而逃避免疫监视的新机制,为联合神经调节和免疫治疗提供了理论基础。

复旦大学附属中山医院“卓越住院医师”临床博士后张誉博士、郭毅波博士、复旦大学附属中山医院口腔颌面外科刘喆麒博士、上海交通大学医学院附属第九人民医院孙仪庭博士及杨溪主任医师为本文共同第一作者。

相关文献

Zhang Y, Guo Y, Liu Z et al. Cancer cells co-opt an inter-organ neuroimmune circuit to escape immune surveillance. 2025, Cell 188, 1–20. 

上海华盈生物医药科技有限公司 商家主页

地 址: 上海市闵行区绿洲环路396弄5幢4层

联系人: 华盈生物

电 话: 400-869-2936

传 真: 021-33938792

Email:market@wayenbiotech.com

相关咨询
ADVERTISEMENT